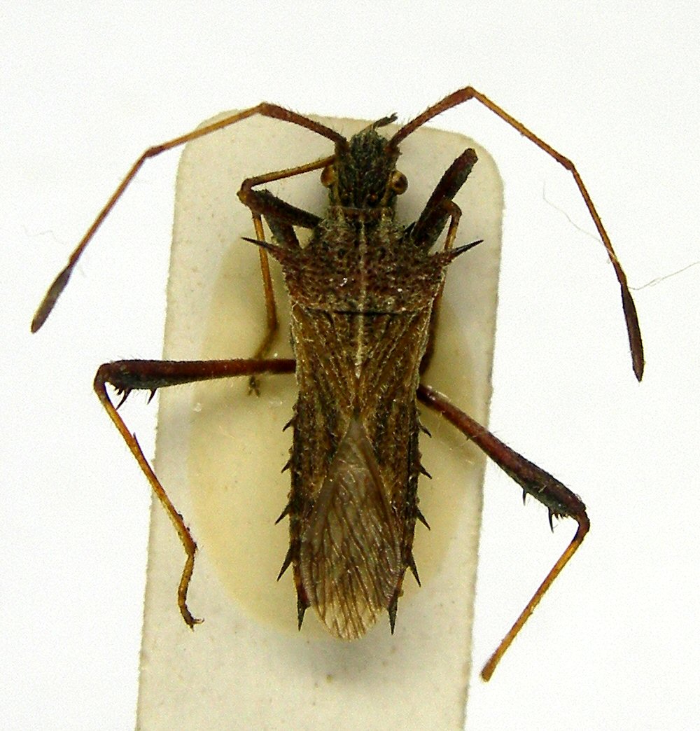
Clavigralla mira Dolling, 1979
 
Clavigralla mira, Dolling (holotype. dorsal)

Source: Livermore, E. 2008.