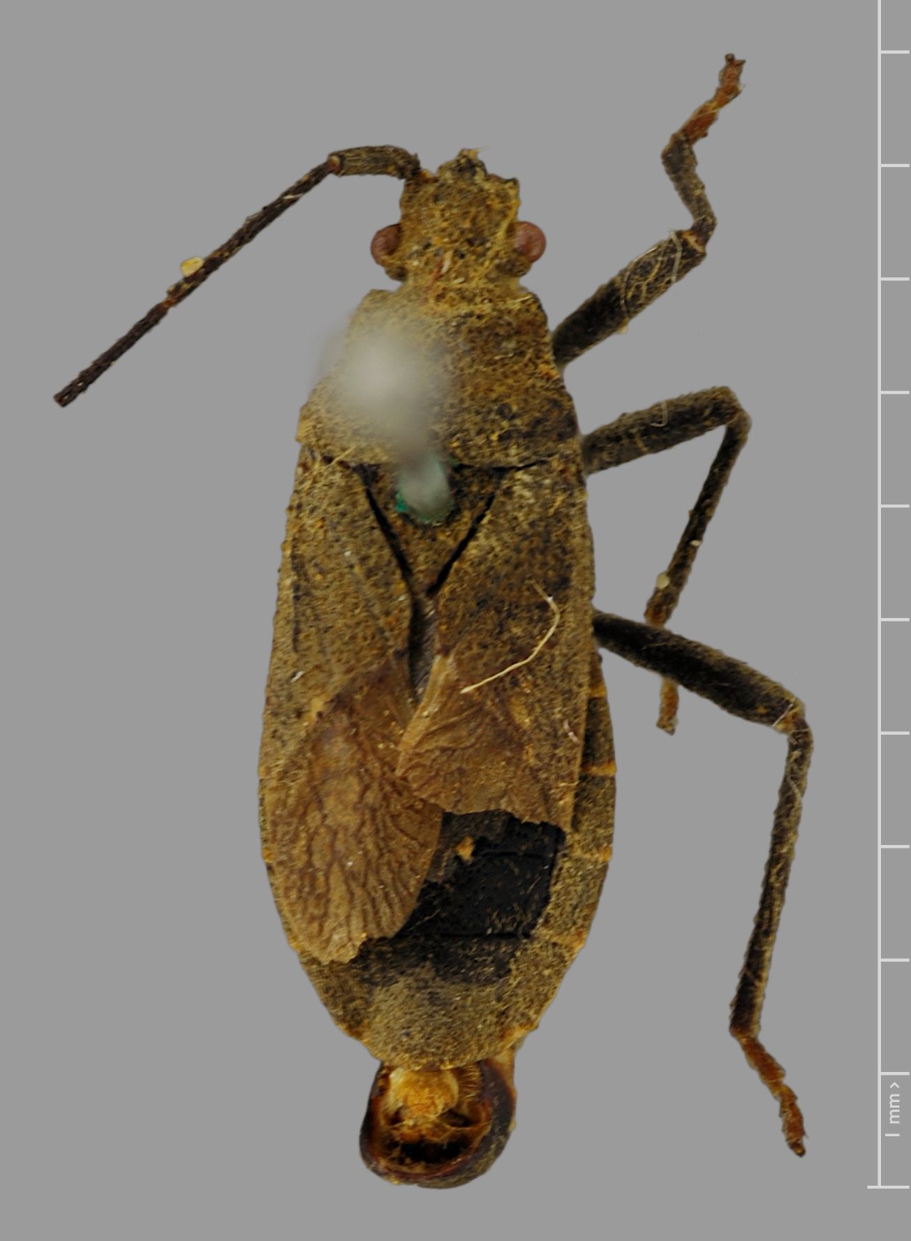
Hygia (Hygia) opaca (Uhler, 1860)
 

Source: Livermore, L. 2010.