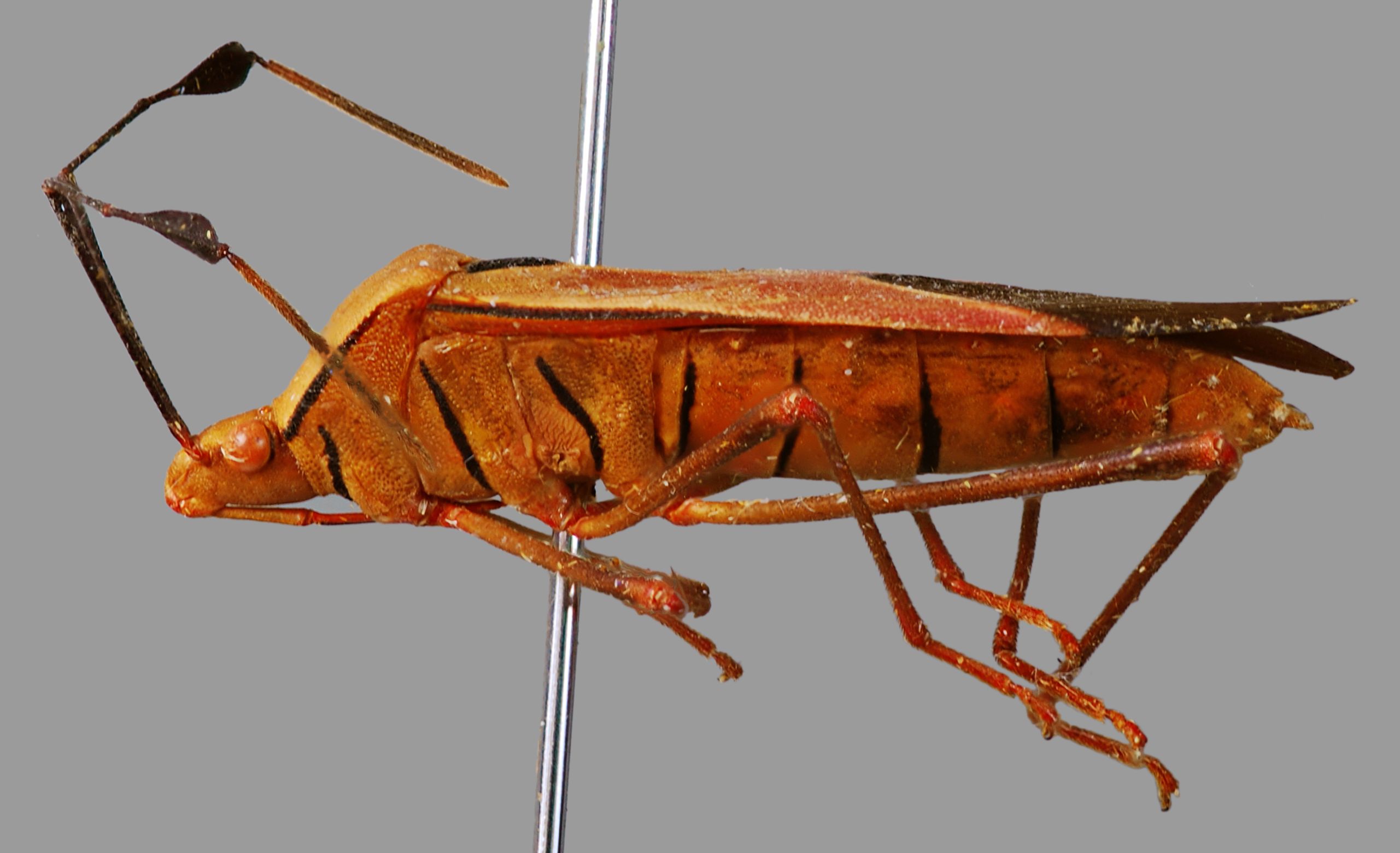
Mecocnemis scutellaris Hsiao, 1964
 
© Institute of Zoology, the Chinese Academy of Sciences, Beijing. Photography by Laurence Livermore.

Source: Livermore, L. 2010.