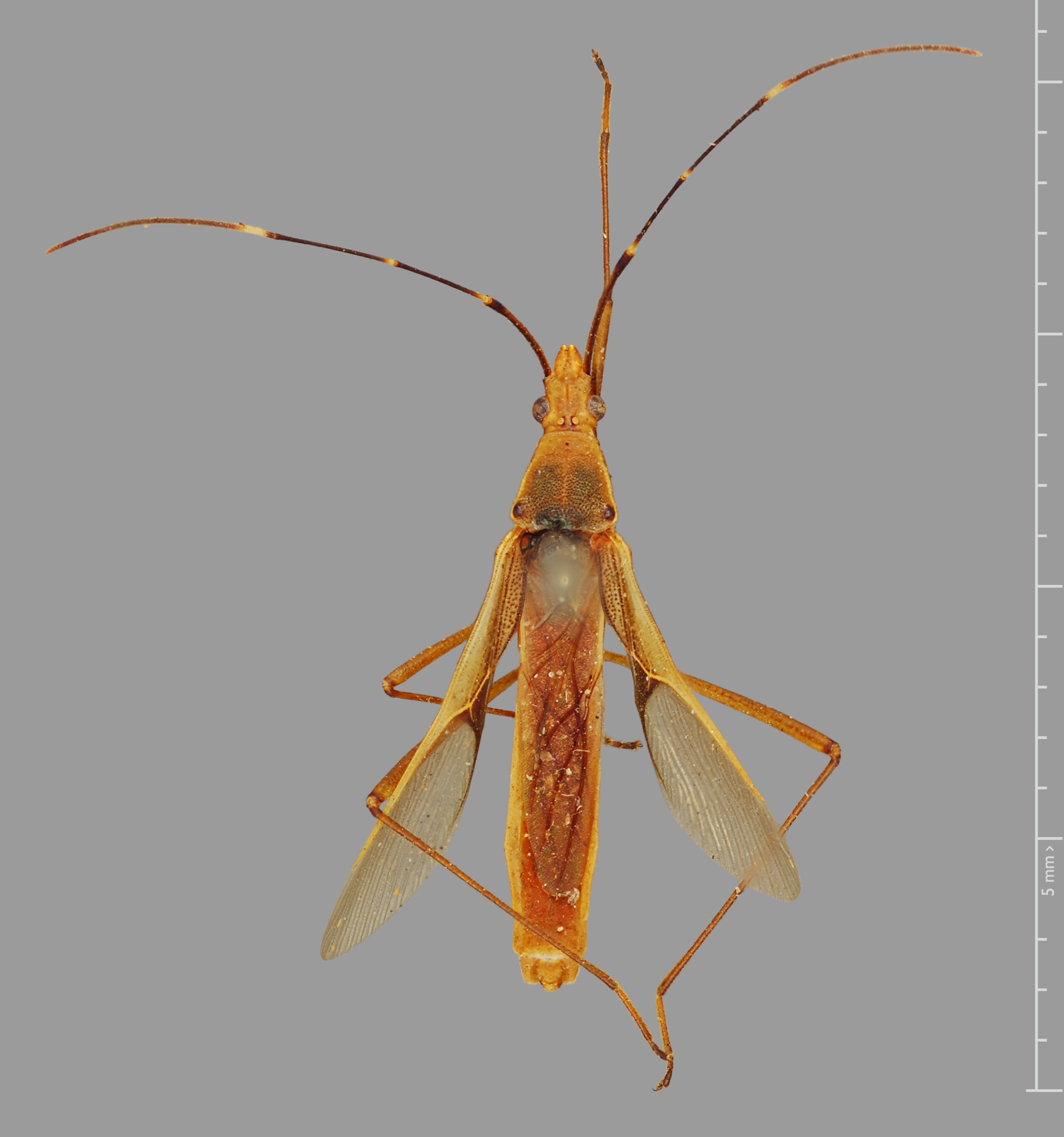
Leptocorisa
acuta
(Thunberg, 1783)
(CC BY-NC 3.0) Attribution: Zoological Museum - Natural History Museum of Denmark, Photography by Laurence Livermore.
Source: Livermore, L. 2011.