Leptocoris vicinus (Dallas, 1852)
 
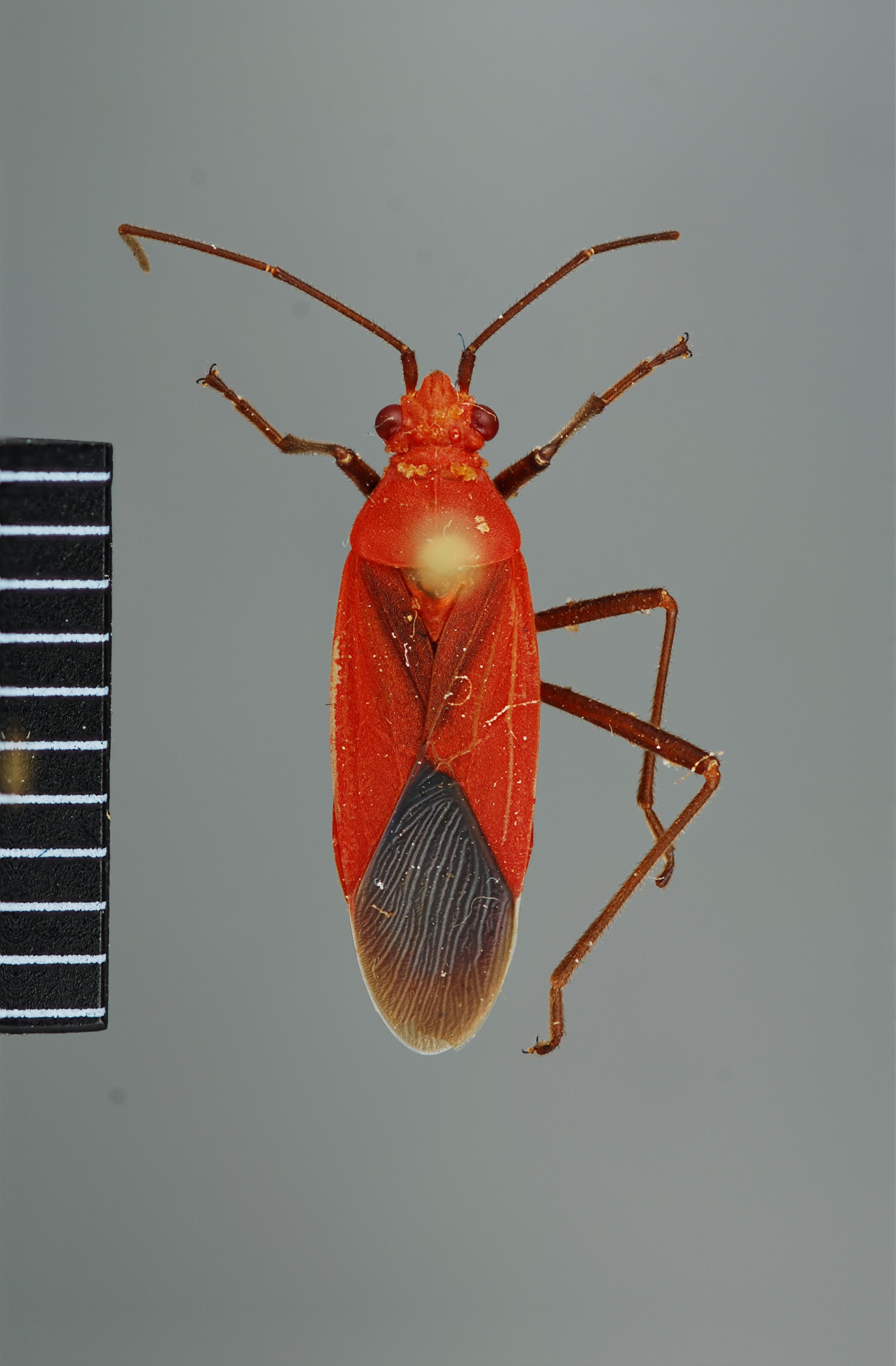
Leptocoris carnivorus Usinger, 1946 (Holotype: male) – BPBM Honolulu – © Bernice P. Bishop Museum, Honolulu, Hawaii, USA. Photograph taken by Laurence Livermore.