Coreoidea Species File (Version 5.0/5.0)
       Home       Search       Taxa       Key       Help       Wiki





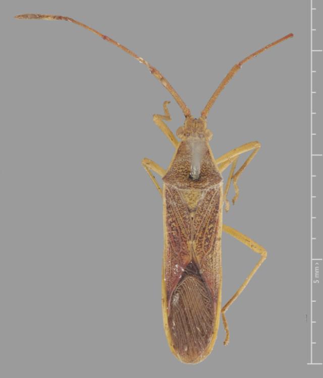
species Homoeocerus (Tliponius) fraternus Distant, 1908


 
Homoeocerus fraternus Distant, 1908 (Syntype: male) – BMNH London – © The Trustees of the Natural History Museum, London. Photograph taken by Tristan Bantock.
 
        Explain

Show all images for this taxon     Show all images for this specimen     Show specimen data


Creative Commons BY-SA       Home       Search       Taxa       Key       Help       Wiki      |      Top of page
Copyright © 2026.  Except where otherwise noted, content on this site is licensed under a Creative Commons Attribution-ShareAlike 4.0 International License.